Melissa thành siêu bão mạnh nhất hành tinh năm 2025, đổ bộ sáng nay
Melissa - siêu bão mạnh nhất hành tinh năm nay - trải qua quá trình tăng cấp thần tốc, với sức gió lên tới 280 km/h. Siêu bão cấp 5 này đang tiếp tục mạnh lên.

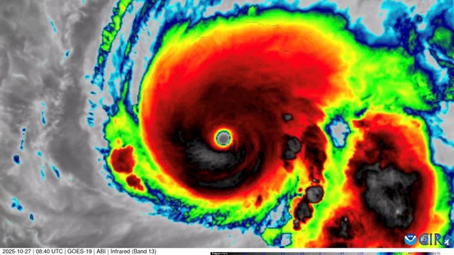
Mắt bão sắc nét của siêu bão Melissa. Ảnh: NOAA
Tin bão mới nhất của Trung tâm Bão Quốc gia Mỹ sáng 28.10 cho hay, Melissa đang là bão cấp 5 với sức gió 280 km/h nhưng có khả năng mạnh thêm trong những giờ tới.
Sức mạnh khủng khiếp của Melissa đã đưa cơn bão này vào một tập hợp đặc biệt. Với sức gió duy trì 280 km/h, Melissa hiện là một trong những cơn bão mạnh nhất được ghi nhận từ trước tới nay, dựa trên tốc độ gió tối đa, ở lưu vực Đại Tây Dương.
Chỉ có 9 cơn bão Đại Tây Dương mạnh hơn Melissa, dù một số cơn bão khác cũng đạt sức gió 280 km/h. Siêu bão Allen năm 1980 vẫn giữ danh hiệu là cơn bão mạnh nhất lưu vực, với sức gió 295 km/h.
Bão Melissa cũng là một trong những cơn bão mạnh nhất càn quét ở Biển Caribe, chỉ sau Allen, Wilma năm 2005, Mitch năm 1998 và Gilbert năm 1988. Gilbert là cơn bão lớn gần đây nhất đổ bộ trực tiếp vào Jamaica.
Tâm bão của cơn bão mạnh nhất Trái đất năm 2025 đang cách Kingston, Jamaica 233km về phía tây nam. Melissa đã bắt đầu chuyển hướng về phía bắc, hướng về Jamaica và hiện di chuyển theo hướng tây - tây bắc với tốc độ gần 5 km/h.
Cơn bão số 13 ở Đại Tây Dương di chuyển chậm hơn về phía tây so với đường đi dự kiến trong vài giờ qua, do đó điểm đổ bộ dự kiến của bão Melissa tại Jamaica cũng thay đổi. Các nhà dự báo bão nhận định, bão Melissa sẽ đổ bộ gần Black River, ở phía tây nam của hòn đảo, vào sáng 28.10.

Melissa vẫn có khả năng là bão cấp 5 dữ dội khi đổ bộ lần đầu dù có thể có những biến động nhỏ về sức gió mạnh nhất vào thời điểm bão đổ bộ Jamaica.
Sau khi đổ bộ lần 1 ở Jamaica, Melissa được dự báo đổ bộ Cuba ở cường độ bão lớn trong đêm 28.10 hoặc sáng sớm 29.10. Từ đó, cơn bão mới nhất của mùa bão năm nay sẽ ảnh hưởng đến một số khu vực của Bahamas và các vùng lân cận.
Các chuyên gia dự báo thời tiết chỉ rõ, bão Melissa dự kiến đổ bộ dọc theo bờ biển phía nam của Jamaica trong sáng 28.10 nhưng nguy cơ cao nhất đến từ những cơn gió nguy hiểm sẽ tập trung ở khu vực phía đông bắc tâm bão. Điều này có nghĩa là phần lớn hòn đảo sẽ chịu nguy hiểm khi bão đổ bộ.
Điều này là do cách bão xoáy khi di chuyển: Gió xoáy ngược chiều kim đồng hồ khi toàn bộ cơn bão bị đẩy về phía trước. Ở phía bên phải của cơn bão, chuyển động tiến về phía trước làm tăng thêm sức gió xoáy, khiến gió giật mạnh hơn kèm nguy cơ sóng lớn tàn phá cao hơn. Ở phía bên trái, những lực này bắt đầu đối lập và triệt tiêu lẫn nhau.
Với Jamaica, điều này có nghĩa là các khu vực phía đông nơi tâm bão Melissa đi qua có thể phải đối mặt với thiệt hại do gió và ngập lụt ven biển nghiêm trọng nhất. Các khu vực phía tây của hòn đảo có thể có gió yếu hơn nhưng dự báo mưa lớn nguy hiểm và lũ quét khi mưa do bão Melissa xảy ra.












