Bão Melissa cận kề cường độ cực đại, chuẩn bị đổ bộ lần đầu tiên
Bão cuồng phong Melissa đang trong giai đoạn tăng cấp thần tốc trước cuộc đổ bộ lịch sử vào Jamaica.

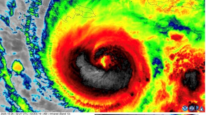
Bão Melissa đang là cuồng phong cấp 4. Ảnh: NOAA
Tin bão mới nhất từ Trung tâm Bão Quốc gia Mỹ (NHC) cho biết, tâm bão Melissa đang cách Kingston, Jamaica khoảng 185km về phía nam, với sức gió mạnh nhất 233 km/h, trở thành bão cuồng phong cấp 4.
Các nhà dự báo bão của Trung tâm Bão Quốc gia Mỹ lưu ý, trong chuyến bay gần đây của Thợ săn Bão, các chuyên gia nhận thấy mắt bão Melissa đang co lại, áp suất giảm, cho thấy cơn bão đang tiếp tục tăng cường độ. Dự kiến, bão tiếp tục mạnh lên, có khả năng trở thành bão cấp 5, cấp siêu bão với sức gió dự báo lên tới 260 km/h khi áp sát Jamaica.
Bão Melissa - cơn bão mới nhất trong mùa bão Đại Tây Dương - đã cướp đi sinh mạng của ít nhất 3 người tại Cộng hòa Dominica vào tuần trước khi cơn bão di chuyển chậm bất thường ở vùng Caribe, trút xuống Hispaniola một lượng mưa từ 50 đến hơn 150mm.
Theo bản tin, cơn bão lịch sử tiềm tàng này đang hướng tới Jamaica. Dự báo mới nhất cho thấy kịch bản xấu nhất có khả năng xảy ra, trong đó Melissa tiếp tục mạnh lên trước khi đổ bộ vào bờ biển phía nam của hòn đảo Caribe này với tốc độ gần như rất chậm, dẫn tới mưa lớn kéo dài nhiều ngày, gió giật mạnh, lũ quét và sạt lở đất.

Bão Melissa vẫn đang di chuyển về phía tây với tốc độ 8 km/h và dự kiến chuyển hướng sang phía bắc và đông bắc trong ngày 27 và 28.10, đưa cơn bão đến Jamaica cho đến hết ngày 28.10, sau đó đến Cuba đêm 28.10 và tới đông nam Bahamas ngày 29.10.
Giới chức Jamaica đã kích hoạt trung tâm điều hành khẩn cấp của đất nước, các máy phát điện khẩn cấp, vật tư y tế và nhiên liệu đã được chuẩn bị sẵn sàng trước khi bão đổ bộ. Sân bay Kingston đóng cửa từ 21h tối 25.10 và tất cả các cảng biển của Jamaica cũng đóng cửa cho đến khi điều kiện được cải thiện.
Cơn bão gần nhất đổ bộ Jamaica là bão cuồng phong cấp 1 Sandy năm 2012, gây thiệt hại lớn về cơ sở hạ tầng.
"Chúng tôi dự đoán thiệt hại sẽ rất lớn nếu cơn bão tiếp tục diễn biến theo quỹ đạo hiện tại" - Bộ trưởng Lao động và An ninh xã hội Jamaica Pearnel Charles Jr cảnh báo.
Trường gió lớn và tốc độ di chuyển chậm của bão Melissa về phía Jamaica dự kiến gây ra một đợt triều cường mạnh dọc theo bờ biển phía nam Jamaica từ chiều 27.10 đến sáng 29.10, với đỉnh triều cường đạt 3-4m so với mặt đất ở khu vực gần và về phía đông nơi tâm bão Melissa đổ bộ.
Bản tin dự báo thời tiết mới nhất của Trung tâm Bão Quốc gia Mỹ chỉ ra, lần đổ bộ thứ 2 của bão Melissa dự kiến xảy ra ở vùng đông nam Cuba vào đêm 28.10 hoặc rạng sáng 29.10. Đến giữa tuần, Melissa dự kiến tăng tốc vào tây nam Đại Tây Dương, có khả năng tiến gần Bermuda.












