Xuất hiện siêu bão đầu tiên của mùa bão 2025 với sức mạnh hủy diệt
Bão Erick là cơn bão đầu tiên trong mùa bão 2025 nhanh chóng tăng cấp thành siêu bão với sức gió hủy diệt lên tới 230km/h.

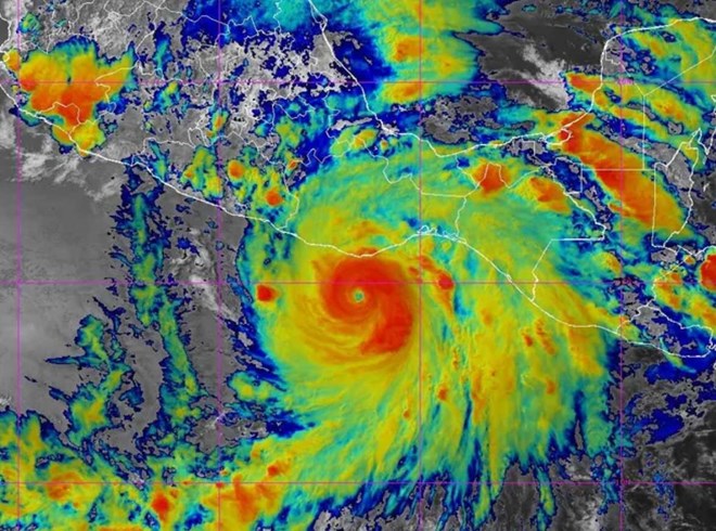
Siêu bão Erick chuẩn bị đổ bộ Mexico. Ảnh: NOAA
Siêu bão Erick - cơn bão số 5 có tên trong mùa bão ở khu vực Đông Thái Bình Dương năm 2025 - đang áp sát bờ biển miền nam Mexico với sức mạnh cực kỳ nguy hiểm" ở cấp 4 (trong thang bão Saffir-Simpson 5 cấp, theo tin bão mới nhất từ Trung tâm Bão Quốc gia Mỹ (NHC) vào 16h chiều 19.6 (giờ Việt Nam).
Erick đã mạnh lên thành bão lớn chỉ vài giờ trước đó, và NHC cảnh báo rằng "gió cực mạnh có sức tàn phá lớn" cùng lượng mưa lớn đi kèm sẽ gây ra "lũ lụt và sạt lở đất đe dọa đến tính mạng".
Erick đã mạnh lên thành bão lớn cấp 3 vào khoảng 10h ngày 19.6, sau quá trình tăng cường nhanh chóng, trở thành cơn bão lớn đầu tiên trong mùa bão Đông Thái Bình Dương năm nay.
Trung tâm Bão Quốc gia Mỹ cho biết, tâm bão dự kiến sẽ đổ bộ vào khu vực phía tây bang Oaxaca hoặc phía đông bang Guerrero của Mexico trong vài giờ tới, sau đó sẽ tiếp tục di chuyển sâu vào đất liền miền nam Mexico.
Cảnh báo bão đã được ban hành từ Acapulco đến Puerto Angel, trong khi cảnh báo theo dõi bão cũng đã được phát ra cho khu vực phía tây Acapulco đến Tecpan de Galeana.

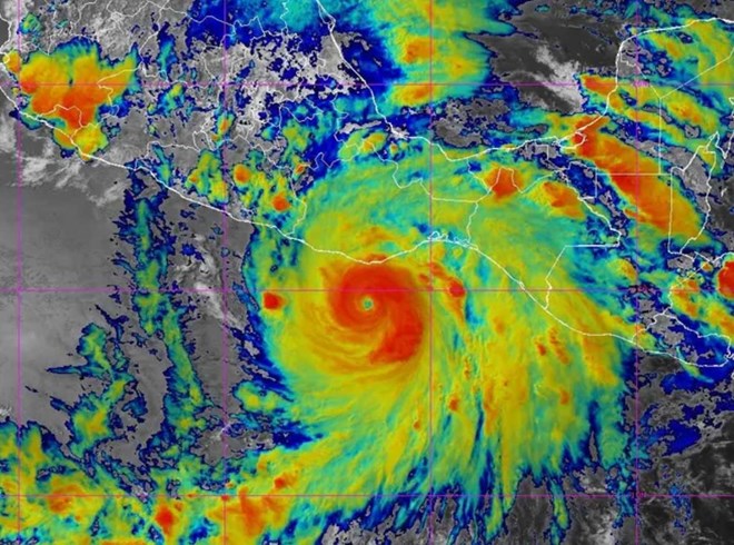
Dự báo đường đi của siêu bão Erick đến 6h ngày 20.6.2025. Ảnh: NOAA
Việc phân loại bão Erick theo thang Saffir-Simpson chỉ dựa trên sức gió, không phản ánh đầy đủ các yếu tố thường gây tử vong nhiều nhất trong các cơn bão nhiệt đới.
Cơ quan Quản lý Khí quyển và Đại dương Quốc gia Mỹ (NOAA) cảnh báo: "Các mối nguy liên quan đến nước - như nước dâng do bão và lũ lụt trong đất liền - từ trước đến nay là nguyên nhân hàng đầu gây thiệt hại về người trong các cơn bão". Bên cạnh đó, bão còn có thể mang theo gió giật mạnh, vòi rồng, sóng dữ và dòng chảy xa bờ nguy hiểm.
Bão Erick được dự báo sẽ gây mưa lớn từ 200-300mm, với tổng lượng mưa cực đại có thể lên tới 400mm tại các bang Oaxaca và Guerrero, dẫn đến nguy cơ lũ lụt và sạt lở đất đe dọa tính mạng, đặc biệt tại những khu vực địa hình dốc.
Bão Erick đang di chuyển theo hướng có khả năng ảnh hưởng trực tiếp đến Acapulco, thành phố từng bị tàn phá nặng nề bởi siêu bão Otis vào tháng 10.2023.
Siêu bão Otis đã đổ bộ vào Acapulco với sức mạnh cấp 5, khiến hàng chục người thiệt mạng sau khi sức gió tăng vọt 185 km/h chỉ trong 1 ngày, lên tới 265 km/h - mức tăng nhanh thứ hai từng được ghi nhận trong lịch sử hiện đại, theo NHC.
Sự xuất hiện sớm và dữ dội của siêu bão Erick khiến nhiều người bất ngờ. Theo một chuyên gia dự báo bão, việc một siêu bão hình thành nhanh đến vậy ngay trong tháng 6 là điều hiếm gặp và đáng báo động.












