Dự báo bão tháng 6 đi vào Biển Đông, di chuyển hướng về Việt Nam
Dự báo bão mới nhất nhận thấy, sẽ có từ 1 đến 2 cơn bão gần Biển Đông xuất hiện trong tháng 6, trong đó có khả năng bão đi vào Biển Đông và hướng về Việt Nam.

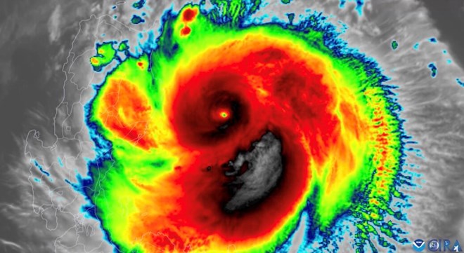
Siêu bão Usagi áp sát Philippines trong mùa bão 2024. Ảnh: NOAA
Tin bão mới nhất từ Cơ quan Khí quyển, Địa vật lý và Thiên văn Philippines (PAGASA) cho hay, dự kiến có từ 1 đến 2 cơn bão nhiệt đới đi vào khu vực dự báo của Philippines (PAR) trong tháng 6.
Trong bản tin, chuyên gia thời tiết PAGASA Daniel Villamil đã trình bày sơ đồ về 4 đường đi thường gặp của bão tháng 6. Hai hướng đi đầu tiên là kịch bản bão đổi hướng, còn 2 đường đi sau là trong kịch bản bão đổ bộ.
Chuyên gia Villamil chỉ ra, vùng áp thấp có khả năng hình thành trong tháng 6 có thể mạnh lên thành bão và áp sát đất liền Philippines, nhưng cũng có khả năng đổi hướng về phía bắc hoặc đông bắc, hướng tới ranh giới phía bắc của PAR, tức khu vực gần Đài Loan (Trung Quốc) và Nhật Bản.
“Ngay cả khi bão nằm xa phía đông bắc của Philippines, dù không đổ bộ thì vẫn có khả năng hút gió mùa tây nam. Do vậy, dù bão ở xa, mưa vẫn có thể xảy ra trên khắp cả nước, không phải trực tiếp do bão, mà do gió mùa tây nam được tăng cường" - ông Villamil giải thích.
Chuyên gia Villamil lưu ý, hướng đi thứ 3 và thứ 4 của bão tháng 6 là các kịch bản bão đổ bộ. Điều này có nghĩa là bão đi vào PAR có thể đổ bộ vào khu vực phía đông Nam Luzon hoặc vùng Đông Visayas, Philippines.

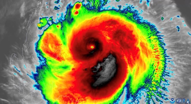
Bão tháng 6 dự báo đi vào Biển Đông và hướng về phía Việt Nam. Ảnh: PAGASA
“Sau khi đổ bộ, bão có thể di chuyển ngang qua phần lớn đất liền Philippines. Khi ra đến Biển Tây Philippines (tức Biển Đông), bão sẽ tiếp tục di chuyển về phía tây, hướng tới Việt Nam và Hong Kong (Trung Quốc)” - chuyên gia Villamil cho biết.
Trước đó, ngày 30.5, PAGASA chính thức tuyên bố mùa gió mùa tây nam (habagat) bắt đầu, báo hiệu mùa mưa đang đến gần.
Nếu đi vào PAR trong tháng 6, PAGASA sẽ đặt tên địa phương cho bão dựa theo danh sách chính thức cho mùa bão 2025. Hai tên đầu tiên trong danh sách là Auring và Bising. Không có cơn bão nhiệt đới nào đi vào PAR kể từ đầu năm.
Theo bản dự báo Triển vọng khí hậu mùa hè châu Á năm 2025 của Cơ quan Khí tượng Quốc gia Trung Quốc (CMA), Trung tâm Khí hậu Bắc Kinh (BCC) nhận định, trong mùa bão 2025, tần suất bão ở tây bắc Thái Bình Dương và bão ở Biển Đông sẽ gần mức bình thường, với số lượng bão ở mức từ 27-29 (trong khi chỉ số trung bình giai đoạn 1991-2020 là 25), với 7-9 cơn bão nhiệt đới sẽ đổ bộ vào Trung Quốc (trung bình là 7).
Bão trong mùa bão 2025 dự kiến có cường độ gần bằng, hoặc mạnh hơn so với thông thường, với hướng đi chủ yếu về phía tây và tây bắc.
Trong khi đó, tin bão mới nhất của Cơ quan Khí tượng Hong Kong (Trung Quốc) cho biết, mùa bão 2025, tên bão ở tây bắc Thái Bình Dương được bổ sung 3 tên mới gồm Bori, Saobien và Tianma. Những tên bão này được dùng để thay thế cho các tên cũ là Doksuri, Saola và Haikui.
Tên mới cho mùa bão 2025 ở khu vực này đã được thông qua tại phiên họp thứ 57 của Ủy ban Bão, trực thuộc Ủy ban Kinh tế và Xã hội Liên Hợp Quốc khu vực châu Á - Thái Bình Dương và Tổ chức Khí tượng Thế giới.
Bão Bori, có nghĩa là đại mạch, do Hàn Quốc đóng góp. Bão Saobien có nghĩa là loài sao biển, do Việt Nam đóng góp. Tên bão Tianma có nghĩa là ngựa trời, chỉ sinh vật huyền thoại ở Trung Quốc, do Trung Quốc đóng góp.












