Dự báo bão Kristy mạnh lên thành siêu bão trong hôm nay
Bão Kristy dự báo mạnh lên thành siêu bão cấp 5 khi đang tăng cấp chóng vánh ở đông Thái Bình Dương.

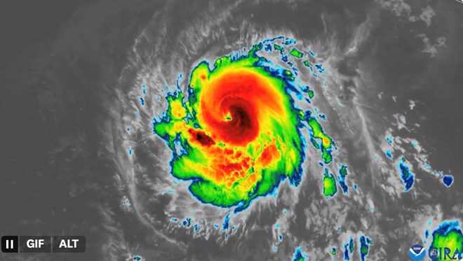
Bão Kristy dự báo thành siêu bão trong hôm nay. Ảnh: NOAA
Tin bão mới nhất của Trung tâm Bão Quốc gia Mỹ (NHC) cho biết, bão Kristy đã tăng cấp chóng vánh thành một cơn bão lớn và hiện cơn bão này được dự báo sẽ đạt cường độ siêu bão cấp 5 khi di chuyển xa hơn khỏi bờ biển của Mexico ở đông Thái Bình Dương.
Bão Kristy là cơn bão mới hình thành từ tàn dư của bão nhiệt đới Nadine ở Đại Tây Dương. Bão Nadine đã đổ bộ gần thành phố Belize, Belize, vào chiều 19.10, mang theo gió mạnh. Sau khi di chuyển vào đất liền qua Trung Mỹ và Mexico, cơn bão suy yếu và tan vào 20.10. Sau đó, tàn dư của bão Nadine hồi sinh thành bão Kristy ở ngoài khơi bờ biển Thái Bình Dương của phía nam Mexico.
Vì đây không phải là hoàn lưu ban đầu của Nadine, Trung tâm Bão Quốc gia Mỹ đã đặt tên mới cho cơn bão này theo danh sách đặt tên mùa bão 2024 của đông Thái Bình Dương.
Bão Kristy đã tăng cấp chóng vánh. Tàn dư của bão Nadine đã được tổ chức lại vào 21.10 và chính thức trở thành bão cuồng phong Kristy vào chiều 22.10. Sau đó, cơn bão mạnh lên rất nhanh và thần tốc trở thành bão lớn. Tối 23.10, Kristy là một cơn bão cấp 4 với sức gió duy trì tối đa 250 km/h, chỉ cần 3 km/h nữa là đạt cường độ siêu bão cấp 5. Trung tâm Bão Quốc gia Mỹ dự báo, cơn bão mới nhất sẽ tiếp tục mạnh lên và đạt cường độ siêu bão cấp 5 trong ngày 24.10.
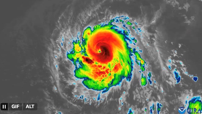
Mắt bão sắc nét của bão Kristy. Nguồn: CIRA
Trong dự báo bão mới nhất, NHC lưu ý, Kristy đang di chuyển về phía tây với tốc độ gần 31 km/h và chuyển động này dự kiến duy trì hết ngày 24.10 sau đó chuyển hướng dần dần về phía tây tây bắc và tây bắc vào 25.10 và kéo dài đến cuối tuần.
Dù cơn bão có khả năng trở thành siêu bão Kristy không dự kiến tác động trực tiếp đến đất liền nhưng các nhà khí tượng học cảnh báo về khả năng gây ra dòng chảy xa bờ chết người ở Baja California, Mỹ vào cuối tuần này.
Newsweek chỉ ra, trong vòng 72 giờ, bão Nadine đã đổ bộ vào Belize, tan biến ở Mexico và sau đó lại mạnh lên thành bão Kristy ở Thái Bình Dương.
Thông thường, một cơn bão vượt đại dương vẫn giữ nguyên tên gọi ngay cả khi đi qua đất liền trước khi sang đại dương khác nhưng nhà khí tượng học Isaac Longley của AccuWeather lưu ý, bão Nadine đã suy yếu đến mức không còn được coi là một cơn bão nhiệt đới nữa.
Ông lưu ý, đây không phải là một cơn bão vượt đại dương bởi không còn duy trì cường độ bão như trước đó. Những cơn bão vượt đại dương từ Đại Tây Dương sang Thái Bình Dương rất hiếm vì những ngọn núi ở Trung Mỹ thường khiến hệ thống bão bị phá vỡ.
Nadine là cơn bão số 14 trong mùa bão Đại Tây Dương trong khi bão Kristy là bão số 11 trong mùa bão đông Thái Bình Dương.
Tính đến tối 23.10, cơn bão có khả năng trở thành siêu bão Kristy là cơn bão duy nhất được Trung tâm Bão Quốc gia Mỹ theo dõi ở phía đông Thái Bình Dương. Trung tâm Bão Quốc gia Mỹ dự báo ở Đại Tây Dương sẽ không có thêm cơn bão lớn nào trong ít nhất 7 ngày tới. Tuy nhiên, các nhà khí tượng học của AccuWeather đang theo dõi một khu vực có khả năng mạnh lên thành áp thấp nhiệt đới ở phía tây Caribe. Nếu áp thấp này mạnh lên thành bão, có thể hình thành trong khoảng thời gian từ ngày 29.10 đến ngày 2.11. Đường đi của cơn bão có thể sẽ không hướng về Mỹ.












