Sau 2 ngày mạnh lên thành bão, đến 13h chiều ngày 12/4, bão SINLAKU (cơn bão thứ 4 hoạt động trên khu vực Tây Bắc Thái Bình Dương) có cường độ đạt cấp 15 (xấp xỉ cấp siêu bão), giật trên cấp 17 và cách Philippines khoảng gần 3.000km.
Tới tối 12/4, sức gió vùng tâm siêu bão SINLAKU đã tăng lên, tương đương cấp 16, giật trên cấp 17. Đây là cơn bão đầu tiên trong năm 2026 đạt cường độ này, đồng thời là lần đầu xuất hiện trong tháng 4 kể từ bão SURIGAE (2021) và chỉ là lần thứ ba kể từ năm 1977.
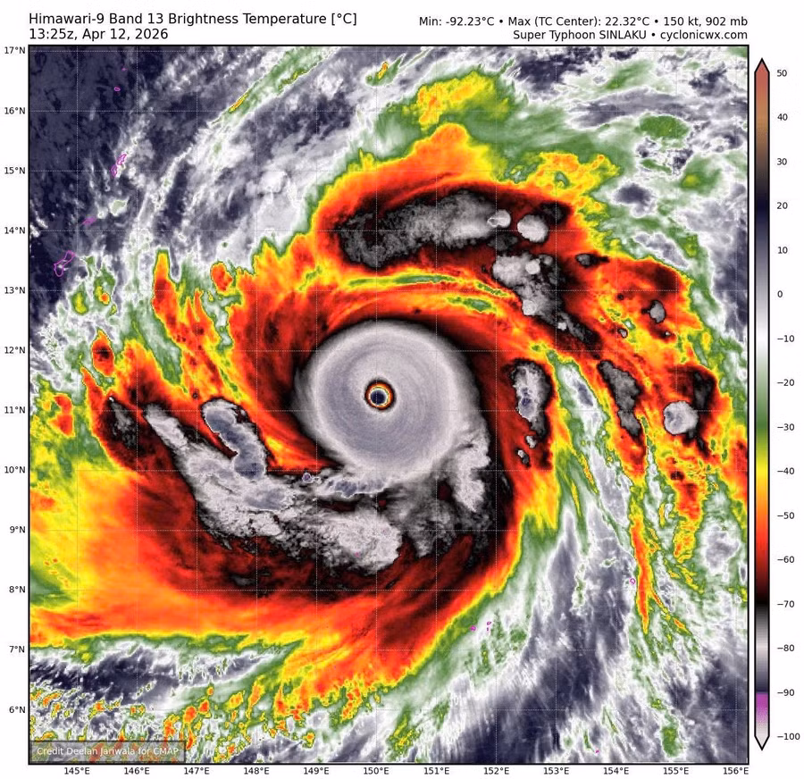
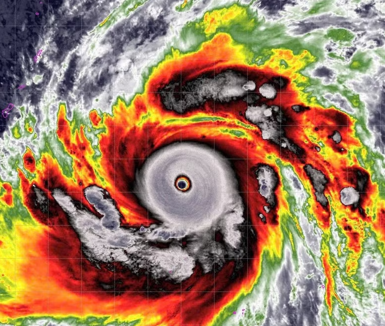
Tính từ đầu năm đến nay, SINLAKU đang là cơn bão mạnh nhất thế giới tới thời điểm hiện tại, với áp suất trung tâm 920 hPa, vượt qua bão Maila ở khu vực Úc (924 hPa).

Ảnh mây vệ tinh siêu bão Sinlaku - Ảnh: NCHMF
Theo phân tích từ số liệu vệ tinh, hiện tại bão SINLAKU đang trong quá trình tăng cường độ nhanh, mắt bão rõ nét, vùng mây đối lưu phát triển mạnh và hoàn lưu đối xứng.
Các điều kiện môi trường trên vùng biển thuận lợi (nhiệt độ mặt nước biển cao, thông lượng nhiệt từ đại dương dồi dào, độ đứt gió tầng cao yếu) tạo điều kiện để bão tiếp tục mạnh lên nhanh trong 24h tới.
Dự báo trong 24h tới, bão SINLAKU sẽ di chuyển theo hướng Tây Bắc với tốc độ khoảng 15km/h và có khả năng sẽ mạnh lên thành siêu bão. Đây sẽ là siêu bão đầu tiên hoạt động trên khu vực Tây Bắc Thái Bình Dương trong mùa bão lũ năm nay và là một trong số rất ít cơn siêu bão xuất hiện ngay trong tháng 4.
Cường độ của siêu bão SINLAKU mạnh nhất vào khoảng cấp 16-17, giật trên cấp 17; sau khi mạnh lên thành siêu bão, siêu bão SINLAKU sẽ đổi hướng di chuyển lên phía Bắc, sau đó nhiều khả năng sẽ tiếp tục đổi hướng một lần nữa thành hướng Bắc Đông Bắc vào khoảng ngày 16-17/4 và di chuyển tới vùng biển phía Đông của Nhật Bản và cường độ sẽ giảm cấp dần.
"Hiện tại các dự báo bão đều cho thấy bão sẽ không có khả năng đi vào khu vực Biển Đông", Trung tâm Dự báo Khí tượng Thủy văn nhận định và cho biết vẫn đang theo dõi sát diễn biến cơn bão này.

