A- A A+ | Tăng tương phản Giảm tương phản

Mắt bão Hạ Long rõ nét, mạnh cấp hủy diệt, gần ngưỡng siêu bão

Bão Hạ Long đang tăng cường sức mạnh ngoài khơi phía nam Nhật Bản và có thể đạt ngưỡng siêu bão trong 24 giờ tới.

Mắt bão Hạ Long rõ nét, mạnh cấp hủy diệt, gần ngưỡng siêu bão

Mắt bão Hạ Long rõ nét, bao quanh bởi mây đối lưu cực mạnh. Ảnh: Weathernerds.org

Tin bão mới nhất của Cơ quan Khí tượng Nhật Bản (JMA) cho hay, lúc 6h ngày 8.10, bão Hạ Long (Nhật Bản gọi là bão số 22) được xác định là bão rất mạnh với sức gió 220 km/h, đang di chuyển theo hướng bắc trên vùng biển phía nam nước này. Dự báo, bão sẽ tiến gần quần đảo Izu trong đêm nay và vượt qua khu vực phía nam, bao gồm đảo Hachijojima và Aogashima, vào sáng 9.10.

JMA cảnh báo, sức gió tại tâm bão có thể đạt tới hơn 250 km/h, cấp siêu bão - đủ sức thổi bay mái nhà, gãy cột điện và gây sập các công trình yếu. Giới chức địa phương yêu cầu người dân ven biển sơ tán sớm, tránh thiệt hại do triều cường và ngập lụt.

Bão Hạ Long có sức gió 220km/h vào 6h10 ngày 8.10. Ảnh: Zoom Earth
Bão Hạ Long có sức gió 220km/h vào 6h10 ngày 8.10. Ảnh: Zoom Earth

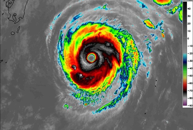
Theo dữ liệu vệ tinh, bão Hạ Long đã tăng cấp nhanh kể từ chiều 7.10, với sức gió mạnh nhất 215-220 km/h, áp suất trung tâm giảm xuống còn 942 hPa. Ảnh vệ tinh cho thấy mắt bão lớn và rõ nét, bao quanh bởi mây đối lưu cực mạnh - đặc trưng của bão cấp 4 theo thang Saffir-Simpson, và có thể đạt ngưỡng siêu bão (cấp 5) trong vòng 24 giờ tới.

Các chuyên gia dự báo bão nhận định, bão Hạ Long đang di chuyển chậm theo hướng tây bắc - đông bắc, men theo rìa áp cao Thái Bình Dương. Môi trường khí quyển lý tưởng - gió đứt yếu, không khí ẩm, nước biển ấm - đang giúp bão tiếp tục mạnh thêm trước khi suy yếu khi gặp vùng nước lạnh hơn ở phía bắc.

Dự báo mưa với tổng lượng mưa trên đảo Hachijojima có thể đạt 300mm đến đêm 9.10, và có thể cao hơn nếu các dải mây đối lưu duy trì lâu. Cơ quan chức năng Nhật Bản đã đặt khu vực trong tình trạng cảnh báo cao nhất về nguy cơ sạt lở, lũ quét và ngập úng.

Sóng cao 8-10m được ghi nhận ở vùng ven bờ phía nam đảo Honshu. Nhiều tuyến vận tải biển và cảng cá đã tạm ngừng hoạt động, trong khi Lực lượng Phòng vệ Nhật Bản (JSDF) được đặt trong tình trạng sẵn sàng ứng phó khẩn cấp.

Mặc dù không được dự báo sẽ đổ bộ trực tiếp vào đất liền, bão Hạ Long vẫn có thể gây ra gió mạnh, sóng lớn và mưa cực đoan dọc theo bờ biển nam Honshu trong hai ngày 8-9.10. Người dân được khuyến cáo tránh ra biển, hoãn các hoạt động ngoài trời và chuẩn bị ứng phó với khả năng mất điện kéo dài.

Dự báo đường đi của bão Hạ Long. Ảnh: JTWC
Dự báo đường đi của bão Hạ Long. Ảnh: JTWC

Tại căn cứ hải quân Mỹ Yokosuka, lực lượng Mỹ đã nâng mức cảnh báo thời tiết TCCOR 4, yêu cầu quân nhân hạn chế di chuyển ngoài trời.

Dự báo bão Hạ Long sẽ suy yếu dần từ cuối ngày 10.10, khi gặp không khí lạnh và gió đứt mạnh ở phía đông bắc Nhật Bản. Dự báo, trong 4-5 ngày tới, bão Hạ Long sẽ rời khỏi Tây Bắc Thái Bình Dương, chuyển thành xoáy thuận ngoài nhiệt đới gần quần đảo Aleut (Mỹ) và có thể gây gió bão, mưa tuyết tại vùng Alaska đầu tuần tới.

Bão Hạ Long được đánh giá là một trong những cơn bão mạnh nhất mùa bão 2025 tại Tây Bắc Thái Bình Dương, với cấu trúc hoàn hảo và khả năng tàn phá rộng lớn nếu lệch hướng tiến gần bờ.

“Chỉ cần sai lệch đường đi nhỏ cũng có thể khiến hậu quả nghiêm trọng. Người dân cần chuẩn bị cho kịch bản xấu nhất” - một chuyên gia JMA cảnh báo.


Tổng số điểm của bài viết là: 0 trong 0 đánh giá
Click để đánh giá bài viết
Bài tin liên quan